Drivers and evolution of acaricide resistance and multi-resistance in two Ecuador's subtropical livestock farming areas

Authors

  • Ximena Pérez-Otáñez Centre for Earth and Climate research, Université Catholique de Louvain, UCLouvain
  • Valeria Paucar-Quishpe Research Unit of Epidemiology and Risk Analysis applied to Veterinary Science (UREAR-ULg), Fundamental and Applied Research for Animals & Health (FARAH) Center, Faculty of Veterinary Medicine, University of Liege
  • Claude Saegerman Research Unit of Epidemiology and Risk Analysis applied to Veterinary Science (UREAR-ULg), Fundamental and Applied Research for Animals & Health (FARAH) Center, Faculty of Veterinary Medicine, University of Liege
  • Jorge Grijalva-Olmedo Facultad de Medicina Veterinaria y Zootecnia, Universidad Central del Ecuador
  • Cecilia Pérez-Escalante Facultad de Medicina Veterinaria y Zootecnia, Universidad Central del Ecuador
  • Linette Jácome Facultad de Medicina Veterinaria y Zootecnia, Universidad Central del Ecuador
  • Carlos Rivera Facultad de Medicina Veterinaria y Zootecnia, Universidad Central del Ecuador
  • Darío Cepeda-Bastidas Facultad de Ciencias Agrícolas, Universidad Central del Ecuador
  • Susana Arciniegas-Ortega Facultad de Ingeniería en Geología, Minas, Petróleos y Ambiental, Universidad Central del Ecuador
  • Sandra Enríquez Instituto de Investigación en Zoonosis-CIZ, Universidad Central del Ecuador
  • Lenin Ron-Garrido Facultad de Ciencias Agrícolas, Universidad Central del Ecuador
  • Richar Rodríguez-Hidalgo Instituto de Investigación en Zoonosis-CIZ, Universidad Central del Ecuador
  • Sophie O. Vanwambeke Centre for Earth and Climate research, Université Catholique de Louvain, UCLouvain

DOI:

https://doi.org/10.12834/VetIt.3471.23969.2

Keywords:

Larval package test, Rhipicephalus microplus, Risk factor, Management practices, Multi-resistance, Cattle farmers

Abstract

The management of cattle ticks, particularly Rhipicephalus microplus, poses a global challenge in subtropical regions like Ecuador due to its impact on meat and milk productivity, leading to economic losses. Misuse of acaricides has resulted in resistance and multi-resistance, diminishing their effectiveness. This study evaluated resistance to amitraz, alpha-cypermethrin, and ivermectin using the Larval Packet test, laboratory-reared tick larvae collected from cattle were tested. Data on farm management and tick control practices were gathered via a questionnaire in Northwest Pichincha and Quijos River Valley over two years. Resistance rates in the first year (2020-2021) were 67.21% for amitraz, 57.38% for ivermectin, and 67.21% for alpha-cypermethrin. One year later (2021-2022), resistance levels were 59.57% for amitraz, 57.45% for ivermectin, and 68.09% for alpha-cypermethrin, with multi-resistance rates at 67.21% and 65.96% respectively. No significant differences were found between years or locations. Analysis of larval survival data determined lethal doses for tested acaricides. The study emphasizes the association between the lack of acaricide rotation, the incorrect dosage, and the absence of non-chemical measures in tick management could be associated with the development of resistances in ticks. Likewise, this study promotes the need for collaborative efforts to improve control practices and maintain acaricide efficacy.

Introduction

About 80% of cattle in tropical and subtropical areas worldwide are affected by ticks (Segura et al., 2022). In Ecuador, over 75% of cattle farms are situated in zones that are potentially affected by ticks (Muñoz Guarnizo et al., 2020; Pérez-Otáñez et al., 2024). The tick species responsible for the greatest economic loss and health damage in cattle in Ecuador is Rhipicephalus microplus (Bustillos and Rodríguez, 2016; Chávez-Larrea et al., 2021; Insuaste Taipe, 2021; Jacho, 2015; Orozco-Álvarez, 2018). Economic losses relate to decreased milk and meat production, damage to hides, diseases transmission and control cost, among others (Faza et al., 2013; Paucar-Quishpe et al., 2023). In Brazil, economic loss has been estimated at 800 million USD annually (Da Silva et al., 2013). In Ecuador, the mean cost of treatment is 19USD per animal per year (Paucar-Quishpe et al., 2023). Synthetic acaricides are the most widespread control method (Obaid et al., 2022). Most of these acaricides affect the nervous system of ticks. However, ticks develop mechanisms to resist the action of acaricides, hindering their effectiveness (Rodríguez-Vivas et al., 2012). The development of resistance to acaricides is a serious challenge to successful tick control efforts. Although alternative control methods are used to mitigate acaricide resistance, few alternatives so far offer the same advantages of low cost and ease of use (Yessinou et al., 2018). As a result, acaricide resistant ticks are globally distributed (Abbas et al., 2014). Phenotypic diagnosis of resistance in the laboratory using bioassays such as the larval packet provides valuable information (Dzemo et al., 2022).

Operational and biological factors are known to be associated with the development of resistance. The hypothesized link between farm-level management and acaricide resistance in R. microplus is supported by several studies (Jonsson et al., 2000; Pérez-Otáñez et al., 2023; Rodríguez-Vivas et al., 2006). Three main factors are assumed to lead to the selection of resistant tick strain. First, constant exposure to acaricides; second, inadequate application or dosing of acaricides; third, overly frequent application and lack of active substance rotation have all been associated with resistance build up (Jonsson et al., 2000). Environmental factors favoring tick survival and reproduction such as temperature and humidity (De Clercq et al., 2015) may also play a role in modulating the survival and proliferation of resistant ticks (Pérez-Otáñez et al., 2023).

Our study aims to assess the resistance and multi-resistance of R. microplus tick populations to amitraz, ivermectin, and alpha-cypermethrin, and how it evolved over two consecutive years. We focus on cattle farms located in two subtropical zones of Ecuador where R. microplus is widespread. We also investigate the correlation between management practices and acaricide resistance and multi-resistance. The main originality of this study lies in the assessment of possible risk factors of change in resistance status in the second year of the study, shedding light on the potential dynamic aspect of this issue.

We hypothesize that resistance and multi-resistance in tick populations are associated with specific management factors, and the resistance pattern may vary significantly due to the diversity of tick control practices across localities and across time. This hypothesis is grounded in the understanding that local conditions and practices, for example, the lack of acaricide rotation, frequent use of the same chemical class, incorrect dosage, and the absence of non-chemical measures in tick management could be associated with the development of acaricide resistance, as these practices can contribute to selective pressure driving the evolution of resistant tick populations. These hypotheses acknowledge the potential interplay between local environmental factors, farm management, and the development of resistance and multi-resistance.

Materials and methods

Study area

We focus on two subtropical livestock areas of Ecuador: the Northwest of Pichincha province (NP) and Quijos river Valley (QV) in Napo province. These areas are located in the eastern and western foothills of the Andes respectively. The Northwest of Pichincha experiences a tropical rainy climate, with an average annual temperature of 20.6°C. Relative humidity is high, ranging from 91% to 94%. Annual rainfall in this area is of 2000 to 3000 mm. Livestock production, primarily of Holstein and Brown Swiss cattle, began in Los Bancos sector in the 1990s (GAD San Miguel de los Bancos, 2015). In contrast, Quijos river Valley, located in Napo Province, features a temperate-cold climate and is part of the Ecuadorian Amazon. Farming activities, focusing on beef and milk cattle production, started in the lower zone of the valley in the late 1960s. The farms included in this study are situated in the lower zone characterized by average annual temperatures of 17°C. Relative humidity is high, exceeding 90%. The area experiences annual precipitation varying between 2000 and 3000 mm (GAD Quijos, 2015). The farms participating in the project were selected using the snowballing technique described in Paucar et al. (2022). The snowballing technique is a way to recruit research participants by asking existing participants to suggest others who might be a good fit for the study. In this study, livestock leaders and technicians served as intermediaries to identify and recruit livestock farmers who were willing to participate in the research. Here we only use data from farms that had a sufficient number of ticks to determine resistance and information on acaricide management. In NP, 61 farms participated in 2020, and 47 farms participated in 2021. In QV, 65 farms participated in 2020, and 53 farms participated in 2021. This is an observational, longitudinal, descriptive study. Farms were visited twice, between November 2020 and March 2021 in year one and between November 2021 and January 2022 in year two. The location of the participating farms can be seen in Figure 1.

Figure. 1. Sampled farms to determine resistance to acaricides in Northwest of Pichincha and Quijos Valley a) first year 2020 b) second year 2021.

Questionnaire and management variables

A digital questionnaire was administered to each farm using Epicollect 5 which is a free mobile data collection platform developed by the Centre for Genomic Pathogen Surveillance (version 5.1.52). It enables to create forms and collect data. In the first year, the questions focused on the description of the farm, general management practices, and use of acaricides. The questionnaire also included questions about the farm's situation with regard to cattle ticks. In the second year, a separate questionnaire was used that focused on the changes in management and control of cattle ticks on the farm (Fernández-Salas et al., 2012; Rodriguez-Vivas et al., 2006). Variables collected in year 1 and analysed here are presented in Table I.

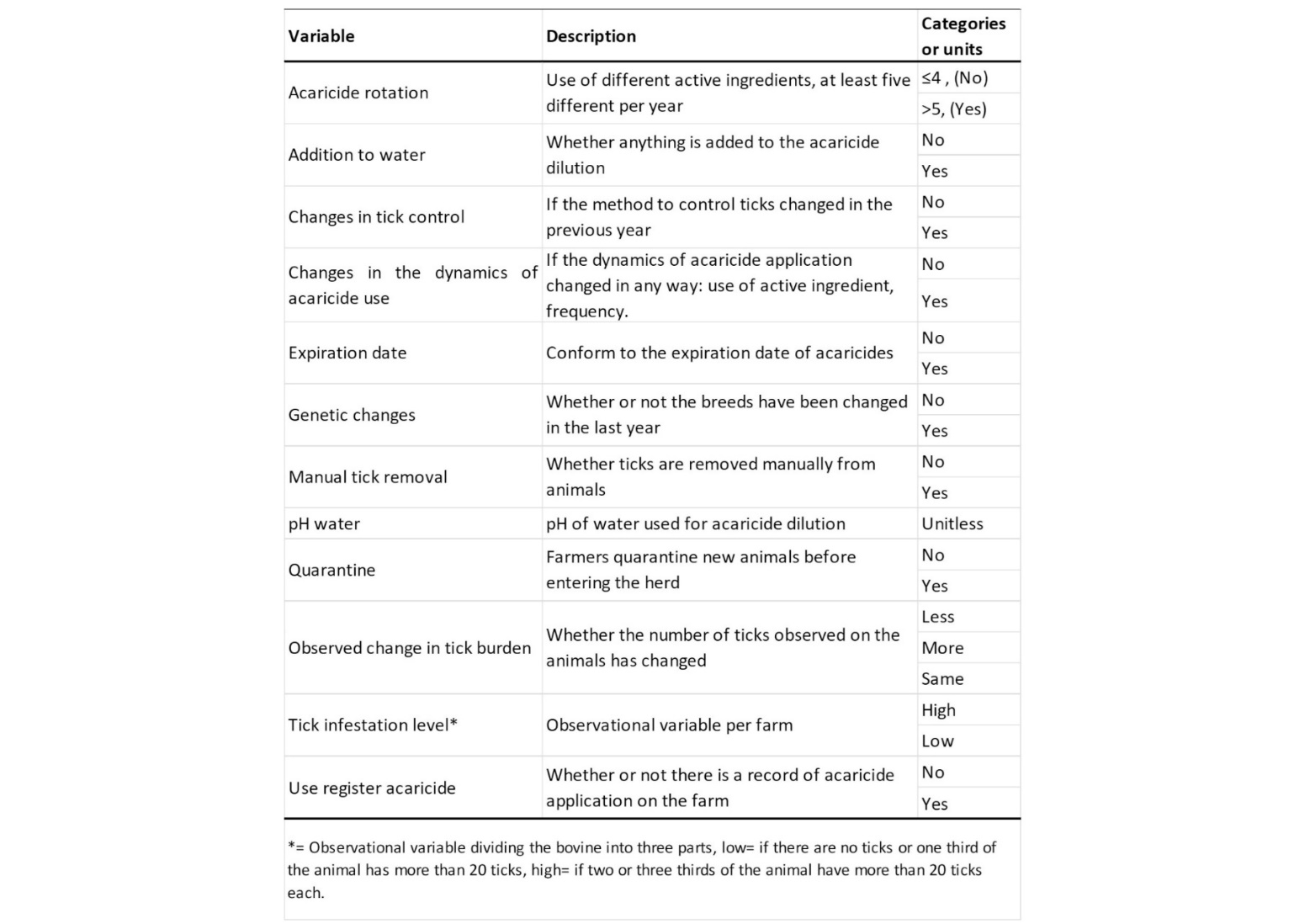
Variables collected and analysed in year 2 are presented in Table II. The pH value of the water used for dilution was obtained with pH measuring strips and applied to the water normally used for dilutions with acaricides.

Tick collection and breeding

About 40 live, engorged ticks larger than 0.5 cm were collected in each farm. Ticks were placed in a clear plastic container closed with a perforated screw cap and containing moist, absorbent cotton at the bottom. They were transported to the Applied Entomology Department of the Instituto de Investigación en Zoonosis-(CIZ), Quito/Ecuador. They were washed with distilled water, placed in medium-sized Petri dishes (15-20 per dish), labeled, and placed in incubators at 27°C and 80% relative humidity to foster egg laying. Dead ticks were removed daily to avoid contamination by pathogens. After seven days, the eggs were removed and placed in vertical 10 ml plastic tubes with moistened cotton bottoms and nylon mesh on top. Eggs hatched after approximately 21 days. The larval package test bioassays were performed with larvae aged 14 and 21 days (Food and Agriculture Organization, 2004; Pérez-Otáñez et al., 2023; Rodríguez-Hidalgo et al., 2017).

Ethical considerations

The collection of all samples was overseen by qualified veterinarians, who adhered to ethical guidelines and animal welfare regulations (Vapnek and Chapman, 2010). Participating farmers were provided with information regarding the protocols to be conducted on their animals, and only those who consented to the manipulation were included in the study. No animals were harmed during the collection of live ticks, and the epidemiological survey was conducted without causing harm to any animals. This study was granted ethical approval by the Research Committee of the Faculty of Veterinary Medicine and Zootechnics (COIF-FMVZ) of the Universidad Central del Ecuador (UCE-FMVZ-DEC-2023-0631-O).

Table. I. Variables about farm management, tick control and acaricide use hypothesized as possible risk factors of acaricide resistance in R. microplus populations.

Table. II. Variables documenting changes in tick control management hypothesized as risk factors for a change in resistance status.

Larval package test (LPT)

In NP, 61 farms in the first year of sampling and 47 farms in the second year had enough ticks to perform the resistance bioassay in the laboratory. In QV, 65 and 53 farms during the first and second year of sampling, respectively, had enough ticks. We used the larval package bioassay. It is the standard test recommended by the FAO and has been used by other authors (Adehan et al., 2016; FAO, 2022; Nogueira Domingues et al., 2012; Rodriguez-Vivas et al., 2021). It was originally described by Miller et al. (2002). It takes approximately six weeks to perform in laboratory conditions. We used the method as described in Rodríguez-Hidalgo et al., (2017). This bioassay consists of a pre-impregnating filter paper similar to Whatman 541 with the tested active principles in different concentrations, and olive oil and chloroform in 1:2 proportion. For amitraz, a nylon fabric base (similar to type 2320, Cerex Advanced Fabrics) was used (Bettin Santos et al., 2013; Miller et al., 2002; Pérez-Otáñez et al., 2023). About 100 larvae were placed in these packages and incubated at 29°C with relative humidity ranging between 80% to 90% (Soberanes et al., 2002). The live and dead larvae were then counted using a stereomicroscope after 24 hours for amitraz and alpha-cypermethrin, and 48 hours for amitraz (Miller et al., 2002). Larvae moving on the paper were considered alive. Chemical concentrations for predictive dose-response assays were adapted from Pérez-Otáñez et al. (2023) i.e. amitraz at 0.025%, 0.1% and 0.4%; alpha-cypermethrin at 0.005%, 0.02% and 0.08%; and ivermectin at 0.025%, 0.1% and 0.4% for the minimum, medium or discriminatory and maximum doses, respectively. The discriminatory dose employed in this investigation was determined according to the concentration of the commercial product available in Ecuador. Each concentration was used twice for each farm. Additionally, a duplicate control without the active principle was employed.

Data analysis

The formula from FAO (Corrected death rate for LPT) was used to determine the resistance of each farm’s tick population to amitraz, ivermectin and alpha-cypermethrin as described by Pérez-Otáñez et al., (2023).

Then, with these results, the percentage of resistant farms was obtained. The resistance status of tick populations was obtained using the discriminatory dose or mean dose for each active principle. To obtain the percentage of resistance, the corrected mortality was subtracted from 100. To calculate the prevalence of farms with resistant tick populations, we used the formula described by Pérez-Otáñez et al. (2023)

The categorization of resistance levels in LPT was conducted according to Rodríguez-Hidalgo et al. (2017). At the farm level, the tick population was classified as susceptible if the percentage of resistance was below 10%. Resistant farms were classed as having low, medium, or high levels of resistance as per thresholds presented in Table III. Multi-resistant farms are considered to be those with tick populations resistant to more than one active principle under study.

Table. III. Resistance levels in the larval package test used to determine resistance status at the farm level.

Statistical analysis

All statistical analyses were carried out using RStudio® version 2022.12.0. We used a chi-square test to determine whether there was an association between the resistance outcomes to each acaricide and multi-resistance, in comparison with the years of study and locations.

Resistance or susceptibility to amitraz, ivermectin and alphacypermethrin was used as a response variable, as well as multi-resistance to two or three acaricides, regardless of acaricide type for the first year of the study. For the second year, the results of changes in resistance status between the first and second year were used. Univariable logistic regressions were carried out to determine farm management variables significantly associated with resistance. Variables with p-value ≤0.2 were entered in the multiple logistic regression models (Fernández-Salas et al., 2012b). Colinear variables were determined and deleted in the final model using variance inflation factor (VIF) values >8 from the CAR package. The Stepwise algorithm was implemented to select the simplest model using the StepAIC function from the MASS package. We used a threshold based on the Akaike Information Criterion (AIC). The model with the lowest AIC value was retained. The statistical significance level was set at 5%. The final models were validated by Nagelkerke's R2, the Area Under the Receiver/Operator Curve (AUC), sensitivity and specificity using the pROC and DescTools packages (Pérez-Otáñez et al., 2023). To determine the risk factors, variables with a p-value <0.05 in the final multiple logistic regression models were considered as associated variables (Fernández-Salas et al., 2012; Paucar et al., 2022).

Dose-response models were constructed using logistic regression of the larval survival rate (resistance) with Generalized Linear Models (GLM) with the “glm” R function inside “stats” package version 4.1.1. Additionally, analysis of Dose-Response Curves (DRC) with the “drc” package version 3.0.1 was utilized to estimate concentration-response values along with 95% confidence intervals (Ritz et al., 2015; Ritz and Streibig, 2005). This analysis was performed using first year data and was stratified by locality to evaluate potential differences.

Spatial analysis

Each farm was georeferenced using a Garmin GPS (WGS 84) in UTM zone 17s coordinates. The maps were produced using the QGIS 3.0.1-Girona software.

Results

Resistance

In the first year, 67.21% (41/61), 57.38% (35/61), and 67.21% (41/61) of farms in NP were resistant for amitraz, ivermectin, and alpha-cypermethrin, respectively. In QV, 61.54% (40/65), 43.08% (28/65), and 60% (39/65) were resistant to the same acaricides. In the second year, percentages of resistant farms were 59.45% (28/47), 57.45% (27/47), and 68.09% (32/47) in NP, and 64.15% (34/53), 43.51% (22/53), and 66.04% (35/53) in QV, respectively for the same acaricides. There were no statistical differences between years, locations and acaricide (chi-square p-values >0.05).

Figure. 2. Percentage of farm resistant, 1st and 2nd year. Levels: low, medium, and high, for amitraz, ivermectin, and alpha-cypermethrin in cattle farms, in R. microplus ticks using larval packet test bioassay for both study years 2020-2021 in a) Northwest of Pichincha and b) Quijos Valley

Figure 3 (a to f) shows the geographic distribution of farms resistant and susceptible to each of the active ingredients under study, by zone, and the changes by year of study. Each symbol represents a farm. Colors indicate resistance status: susceptible (purple dots), and resistant (orange triangles). Resistant farms are distributed throughout both study area with no obvious cluster. At least half of the farms retain their resistant status, and farms shifting from susceptible to resistant or the other way around are dispersed throughout the area. For amitraz in NP, 72% of farms maintained their resistant status, while the remaining farms status. For ivermectin, 51% of farms maintained their status, and for alphacypermethrin, 63% maintained their status. In QV, 54% of farms retained their previous status for amitraz, 68% for ivermectin, and 64% for alphacypermethrin. Resistance is spatially widespread, a pattern confirmed over both our study areas.

Figure. 3. Farms with tick population resistant to amitraz, ivermectin and alpha-cypermethrin a) amitraz resistance first year 2020, b) amitraz resistance second year 2021, c) ivermectin resistance first year 2020, d) ivermectin resistance second year 2021, e) alpha-cypermethrin resistance first year 2020, f) alpha-cypermethrin resistance second year 2021.

Farm conversion

With resistance results from two years, we were able to determine the conversion of resistance or susceptibility status overall by zone. Table IV displays the percentage of farms that retained their resistant or susceptible status, as well as those that transitioned between the two. In both zones, most farms maintained their resistance or susceptibility status.

Table. IV. Changes of resistance status by percentage and farm number.

Multi-resistance

In the first year, 67.21% of farms in NP were multi-resistant, while in the second year, this percentage decreased slightly to 65.96% (Table V). In QV, 56.92% of farms were multi-resistant in the first year, increasing to 62.26% in the second year (Table VI).

Table. V. Farms in Northwest of Pichincha with multi-acaricide-resistant R. microplus tick populations, in percentages and numbers. Determined by the Larval Package test.

Table. VI. Table VI. Farms in Quijos Valley multi-acaricide-resistant R. microplus tick populations, in percentages and numbers. Determined by the Larval Package test.

Dose response analysis

Larval mortality data was used to assess dose-response and predict resistance at different concentrations of each active principle (Figure 4). Additionally, this analysis determines the doses required to kill 50 and 90% of the tick population (LD50 and LD90), respectively. For amitraz, LD50 values were determined as 0.022, 0.015, and 0.018, while LD90 values were 0.74, 0.34, and 0.51 for NP, QV, and both locations, respectively. Alpha-cypermethrin exhibited LD50 values of 0.007, 0.005, and 0.0057, and LD90 values of 0.18, 0.12, and 0.15 for NP, QV, and overall data, respectively. Lastly, ivermectin demonstrated LD50 values of 0.028, 0.015, and 0.020, and LD90 values of 0.55, 0.30, and 0.45 for NP, QV, and overall data, respectively.

Figure 5. Logistic regression about mortality versus concentration for amitraz, ivermectin and alpha-cypermethrin a) Both zones b) Northwest of Pichincha c) Quijos Valley, using the data of 2020.

Risk factors associated with resistance to amitraz, ivermectin, alphacypermethrin and multi-resistance.

In the initial analysis of individual factors (univariable screening), we identified statistically significant associations between certain farm practices and tick resistance in each study area. Univariable screening acts as a first filter, providing insights into potential relationships between variables and the outcome. It allows building a more efficient, interpretable, and reliable GLM by identifying important predictors, reducing multicollinearity, and focusing on the most relevant variables.

In NP, just for the multi-resistance model the variable “Use1” (category “yes”) was significant associated with Odds Ratio (OD) 0.16, p-value <0.01 (Supplementary Table I). This variable indicates the use of only one of the three acaricides under study.

In QV, one variable was significantly associated with resistance to amitraz “new animals” (category “yes”) with an OD 3.50, p-value 0.03. One variable was significantly associated with resistance to ivermectin “pour-on” (category “yes”) with an OD 0.25, p-value 0.04. One variable with resistance to alpha-cypermethrin “use of additional methods” (category “yes”). And two variables were associated with multi-resistance “new animals” (category “yes”) with an OD 6.75, p-value <0.01, and “pour on” (category “yes”) with an OD 0.28, p-value 0.04 (Supplementary Table II).

The results of the multiple regression models showed in NP (Table VII), a protective association for resistance to amitraz was observed only with the variable "external paddocks" (category "yes") OR 0.12 (95% CI 0.01;0.71), p-value 0.03. For resistance to ivermectin, a positive association was found with the variable "use of ivermectin" (category "yes") OR 6.15 (95% CI 1.71;26.98), p-value 0.01. The variable "frequency of acaricide baths" was identified as a protective factor for resistance to alpha-cypermethrin OR 0.96 (95% CI 0.92;0.99), p-value 0.03, indicating that a longer interval between acaricide baths reduces the likelihood of resistance development. In the multi-resistance model, the variable "use 1 acaricide" (category “yes”) was identified as a protective factor with OR 0.12 (95% CI 0.03;0.49), p-value <0.01, suggesting that using only one of the three acaricides under study decreases the probability of multi-resistance. Using a ROC curve, these models exhibited a mean specificity greater than 0.70 and sensitivity greater than 0.60. Detailed values for sensitivity, specificity, AUC, AIC and Nagelkerke's R2 are shown in Supplementary Table III.

Table. VII. Farms in Quijos Valley multi-acaricide-resistant R. microplus tick populations, in percentages and numbers. Determined by the Larval Package test.

In QV (Table VIII), the variable "new animals" (category "yes") was positively associated with resistance to amitraz OR 5.75 (95% CI 1.46;86.87), p-value 0.02, while the variable "frequency of use of amitraz" (category "low") was protective OR 0.20 (95% CI 0.04;0.77), p-value 0.03. For resistance to ivermectin, only the variable "dosage ivermectin" (category "incorrect") showed a positive association OR 4.41 (95% CI 1.20;18.65), p-value 0.03. In the case of alpha-cypermethrin, the variable "new animals" (category "yes") was positively associated OR 3.40 (95% CI 1.13;11.53), p-value 0.04, while the variable "use of additional methods" (category "yes") was protective OR 0.25 (95% CI 0.07;0.79), p-value 0.02. Finally, in the multi-resistance model, the variable "new animals" (category "yes") was positively associated OR 6.23 (95% CI 1.79;26.21), p-value 0.01, while the variable "pour on" (category "yes") was protective OR 0.14 (95% CI 0.02;0.62), p-value 0.02 (Table X). Using a ROC curve the alpha-cypermethrin model exhibited a mean specificity of 0.50, while the rest of the models showed a mean specificity higher than 0.70 and sensitivity greater than 0.56. Detailed values for sensitivity, specificity, AUC, AIC and Nagelkerke's R2 are shown in Supplementary Table IV.

Table. VIII. Multivariate logistic regression models of the change of status from resistant to susceptible to amitraz, ivermectin and alpha-cypermethrin in R. microplus tick populations in cattle farms in Northwest of Pichincha using Larval package test results.

Risk Factors Associated with resistance status change: resistant to susceptible

In NP, for the change from resistant to susceptibility to amitraz, ivermectin, and alpha-cypermethrin no variable was significantly associated. The variables as initial inputs for multiple regression models were the ones with p-value <0.20 (Supplementary Table V). No significant association was found in the multivariate models for resistant to susceptibility to amitraz and ivermectin. For resistant to susceptibility in alpha-cypermethrin, three variables were significantly associated: "acaricide rotation" with a category of "yes" had an odds ratio (OR) of 20.97 (CI 95% 1.74;870.24), “pH water” with OD 17.38 (CI 95% 1.49; 612.07), p-value 0.04, and the variable "change in tick burden" (category "same") had an OR 0.02 (CI 95% <0.01; 0.44) (Table IX). This model had as validation values AIC 30.05, Nagelkerke's R2 0.54, AUC 0.90 (CI 95% 0.79; 1), specificity 0.85 (CI 95% 0.62; 0.96) and sensitivity 0.86 (CI 95% 0.74; 1).

In QV, for the change from resistant to susceptibility to amitraz, and ivermectin no variable was significantly associated. One significant variable for resistant to susceptibility to alpha-cypermethrin was "change in tick control" (category “yes”) with OR 6.19, p-value 0.03. The variables as initial inputs for multiple regression models were the ones with p-value <0.20 (Supplementary Table VI). No significant association was observed in the multivariate models for change in resistant to susceptibility to amitraz or ivermectin. For alpha-cypermethrin, the variable "change in tick control" with a category of "yes" resulted in an OR of 8.44 (1.43-72.49), p-value 0.03 (Table X). This model obtained the validation values: AIC 37.47, Nagelkerke's R2 0.31, AUC 0.79 (CI95% 0.61; 0.97), specificity 0.76 (CI 95% 0.45; 0.97) and sensitivity 0.75 (0.5; 1).

Table. IX. Multivariate logistic regression models of the change of status from resistant to susceptible to amitraz, ivermectin and alpha-cypermethrin in R. microplus tick populations in cattle farms in Northwest of Pichincha using Larval package test results.

Table. X. Multivariate logistic regression models of the change of status from resistant to susceptible to amitraz, ivermectin and alpha-cypermethrin in R. microplus tick populations in cattle farms in Northwest of Pichincha using Larval package test results.

Table. XI. Multivariate logistic regression models of the change of status from resistant to susceptible to amitraz, ivermectin and alpha-cypermethrin in R. microplus tick populations in cattle farms in Northwest of Pichincha using Larval package test results.

Table. XII. Multivariate logistic regression models of the change of status from resistant to susceptible to amitraz, ivermectin and alpha-cypermethrin in R. microplus tick in Quijos Valley using Larval package test results.

Risk Factors Associated with resistance status change: susceptible to resistant.

In NP, no variable had a p-value <0.05 in the univariable analysis for a change from susceptibility to resistant to amitraz, ivermectin or alpha-cypermethrin. In the final multivariate models, no variable showed significant association for any of the changes (Supplementary Table VII and Table XI).

In QV, no variable had a p-value <0.05 in the univariable analysis for a change from susceptibility to resistant to amitraz, ivermectin or alpha-cypermethrin. There were no significant variables in the final multivariate models for any of the changes considered (Supplementary Table VIII and Table XII).

Discussion

The aim of this study was to diagnose resistance and multi-resistance to amitraz, ivermectin, and alphacypermethrin in the Northwest of Pichincha and Quijos river Valley of Ecuador. We found extensive resistance, as well as multi-resistance. Resistance and multi-resistance were associated to farm practices and in particular inadequate use of synthetic acaricide. Resistance was found stable over time and a change from resistance to susceptibility was found to be associated to changes in practices or an observation of change in tick burden. This may suggest that changes in practice may improve the situation, and we review the most relevant recommendations suggested by our results.

Our results confirmed the situation first observed in 2016 for Ecuador (Rodríguez-Hidalgo et al., 2017), and again in 2018 (Pérez-Otáñez et al., 2023). The use of synthetic acaricides is the standard method of control. Acaricide resistance, for the three substances assessed here, is of concern in the majority of farms. These results are similar to those obtained for amitraz in Brazil by LPT with 73.33% (11/15) (Li et al., 2004) and Klafke et al. (2017) with 76.92% (80/104), but differ from Veiga et al. (2012), who reported resistance of 5% (1/20) using the Adult Immersion Test. Our results are higher than those reported by Lovis et al. (2013) in Argentina with 37.8% (3/8) using the Larval Tarsal Test (LTT), but lower than those reported by Cutullé et al. (2013) in 2013 with 100% (2/2). Regarding ivermectin, the results of this study are similar to those obtained in Brazil by Klafke et al. (2006) with 50% (1/2) using the Larval Immersion Test, but higher than those obtained by Castro-Janer et al. (2011) with 27.78% (5/18) using the same test method. For synthetic pyrethroids, we observe resistance percentages higher than those found in Colombia, where 100% of the studied populations were resistant (Puerta et al., 2015), and similar to Brazil, where 85.71% (12/14) farms were resistant (Santana et al., 2016). We also observed similar results to those obtained in this study, in Brazil, with 10/12 resistant farms reported by Mendes et al. (2007) and 19/23 resistant farms reported by Mendes et al. (2011). In conclusion, despite the variability in resistance percentages of ticks to acaricides, their presence across all studied locations underscores the persistent challenge of managing tick resistance in South America.

We found no significant trend in the prevalence of resistance over the two years of our study. The prevalence we measured for 2020 and 2021 are comparable to prevalence estimates published previously for Ecuador. In 2016, the prevalence of resistance percentage for amitraz, ivermectin, and alphacypermethrin was 67%, 42%, and 50%, respectively in 12 cattle farms using LPT (Rodríguez-Hidalgo et al., 2017). In 2018, (Pérez-Otáñez et al., 2023) found prevalences of 72%, 70%, and 64% in 96 cattle farms using LPT. The findings indicate consistent patterns of resistance, although with some variation, across the years. One caveat to that observation is that farms included in these studies have been in regular contact with veterinaries studying ticks and acaricide resistance and may be better surveyed and hence informed about these issues.

We found multi-resistance in 62.07% of farms. Those farms had tick populations resistant to more than one acaricide. The first report of multi-resistance to amitraz and synthetic pyrethroids was made in Australia in the 1990s (Kunz and Kemp, 1994), and has been observed since, everywhere where R. microplus has been studied. In Brazil, multi-resistance was reported among cypermethrin, alphacypermethrin, amitraz, chlorpyriphos, ivermectin, fipronil, and fluazuron (Andreotti et al., 2011; Klafke et al., 2017). In Mexico, populations of ticks resistant to organophosphates, pyrethroids, amitraz, and macrocyclic lactones were identified for the first time in 2011 (Fernández-Salas et al., 2012a). In laboratory conditions, multi-resistance can persist for up to 20 generations after field collection. Assuming each tick generation in the field takes approximately 60 to 70 days, approximately three and a half years would be needed, after interruption of acaricide use, for resistance to disappear. With constant application of acaricides in the field, controlling generations of resistant populations becomes increasingly challenging (Klafke et al., 2017).

Although resistance decreases as the dose is increased, no dosage allows to reach zero in our dose-response analysis. Our results were similar to those of Singh et al., (2014), who plotted mortality against concentration and observed that mortality did not reach 100%. Rodríguez-Hidalgo et al., (2017) observed a similar pattern in Ecuador. Assuming partial mortality in the field, resistant ticks would persist, gradually building selection pressure.

Risk factors associated with acaricide resistance differed between zones. While (Rodríguez-Vivas et al., 2006) failed to identify any factors associated with resistance to similar acaricides, our findings emphasize that management variables identified as associated are significant and applicable regardless of the specific acaricide they were statistically linked to.

Moving animals to paddocks outside the main farm could lower the probability of resistance, as these paddocks might have fewer or no ticks due to previous non-use, and provided proper management and inspection. This would reduce the parasite load. Additionally, the movement of cattle could introduce genetic diversity into local tick populations, potentially promoting the influx of populations susceptible to some acaricides. In our study, the presence of "external paddocks" (category "yes") served as a protective factor (OR 0.12) against resistance to amitraz in NP. Cattle movement can be to neighboring paddocks or rented paddocks, especially in times of drought when feed may be insufficient.

The introduction of new animals in the herd emerged as a significant risk factor influencing resistance. We found it across three models in QV: resistance to amitraz (OR 5.74), resistance alpha-cypermethrin (OR 3.14), and multi-resistance (OR 6.23). However, the introduction of new animals in the herd could be favorable or unfavorable to the development of acaricide resistance. Without proper quarantine measures, new animals could introduce resistant ticks that could increase the infestation level and require more acaricide application, thereby intensifying selection pressure. Although these processes are challenging to monitor under field conditions, they can contribute to the development of acaricide resistance. Implementing biosecurity measures could be crucial to mitigate the effects of introducing new animals to the herd with tick strains possibly resistant to acaricides used in their previous location.

Variables related to the frequency of acaricide application emerged as significant factors associated with resistance. In the amitraz resistance model in QV, the variable "frequency of use" categorized as "Low" acted as a protective factor (OR 0.20). Lengthening the interval between applications of amitraz, such as every two months or more, may decrease selection pressure and thus the built up of resistance. Similarly, in the alpha-cypermethrin model in NP, increasing the interval between acaricidal baths was identified as a protective factor against amitraz resistance development with the variable “Interval between baths applications” (category “yes”) (OR 0.96). This finding aligns with a previous study by Fernández-Salas et al. (2012), which observed that using macrocyclic lactones four or more times a year increased resistance risk. Rodriguez-Vivas et al. (2006) associated pyrethroid resistance with applying more than 6 treatments per year with an OR 4.83. Jonsson et al. (2000) reported applying acaricide more than five times in the last year as a risk factor associated with pyrethroid resistance development. Spacing the use of acaricides in general and of the same active ingredient reduces selection pressure.

The use of acaricides, both in dosage and frequency, appears as significant risk factors. In our model for resistance to ivermectin in NP, the variable “acaricide used” (category “yes”) corresponding to the use of ivermectin 1% in the last year was associated as a risk factor (OR 6.15), consistent with Pérez-Otáñez et al. (2023) who reported the same risk factor. In the model corresponding to multi-resistance, in NP, the variable "use of 1 acaricide under study" (category “yes”), emerged as a protective factor with an odds ratio (OR) 0.12. Our results suggests that considering resistance to a single product or to multi-resistance leads to an apparent contradiction. On the one hand, using only one acaricide among those three under investigation provides protection against the development of multi-resistances, by avoiding exposure to the other acaricides. On the other hand, the use of specific acaricides is associated to the development of resistance to those same acaricides. For example, the association between ivermectin use and ivermectin resistance highlights this potential concern. Inadequate dosing of any acaricide may favor the development of resistance, as it allows resistant ticks to survive and reproduce, whether by overdosing or under dosing the acaricide. In QV, the variable “correct dosage” (category “Incorrect”) appear as a risk factor (OR 4.41). Ratifying the importance of rotating or alternating between different classes of acaricides and adhering to the recommended doses provided by the manufacturer, as well as emphasizing the significance of administering these doses based on the animals' weight can mitigate the development of resistance in tick populations.

In the case of alpha-cypermethrin in NP, the “use of additional methods” (category "yes") emerged as a protective factor with an odds ratio (OR) 0.25. This finding is not consistent with Rodriguez-Vivas et al. (2006), who associated pyrethroid resistance with the implementation of other tick control programs in Mexico, with an OR 5.92, such as pasture burning and the use of macrocyclic lactones. This approach can reduce the frequency of chemical acaricide application, interfering with the tick life cycle, and thus improving long-term efficacy.

In the case of multi-resistance in QV, the variable "use of pour on" (category "yes") emerged as a protective factor with an Odds Ratio (OR) 0.14. Limited studies have associated multi-resistance to various acaricides with potential risk factors, such as Fernández-Salas et al. (2012) who were unable to determine management factors associated with tick populations resistant to amitraz and cypermethrin on farms. The use of pour-on acaricides emerges as a protective factor. This could be attributed to their different mechanism of action, minimal active ingredient loss due to direct application to animals (thus minimizing environmental dispersion compared to spray baths) and their distinct active ingredients, which contribute to disrupting the cycle of resistant ticks over an extended period.

Regarding the risk factors associated with the change in resistance status from resistance to susceptible per farm in the Northwest of Pichincha, we only found three significant variables for alpha-cypermethrin. "Acaricide rotation" with a category of >5 different active ingredients per year had an odds ratio (OR) 20.97, and the water pH in this study corresponding to 7 or higher had a OR of 17.38. Additionally, the perception of the farmer regarding the change or not of "ticks over the animal" with a category of "same" acted as a protective factor with an OR 0.02. Meanwhile, in the Quijos Valley, the variable "control ticks change" with a category of "yes," referring to changes made in tick control methods one year prior, emerged as a risk factor. Changing the method of tick control from one year to another, regardless of the specific method, can decrease resistance development in cattle farms due to mode of action rotation, reduced prolonged exposure, and diversified management strategies. This practice helps adapt to changing conditions and minimizes selection pressure on tick populations. By alternating between different control methods, it prevents ticks from developing resistance to a single chemical or treatment. Moreover, adapting to specific conditions each year enhances overall tick control efficacy and reduces the need for intensive treatments. Therefore, future longitudinal studies on tick control in model farms are recommended to determine which methods are most effective in reducing both tick burdens and acaricide resistance. Although the variable "genetic change" was not statistically associated in the final models, it exhibited close proximity with a p-value of 0.06. It is noteworthy that other studies suggest that enhancing the genetic makeup from taurine to indicine breeds, in hybrids, provides protection against the development of resistances and reduces the degree of infestation (Foil et al., 2004).

No variable was associated to the change in status from susceptible to resistant in either locations. It could be because a biannual sampling does not capture the dynamic of resistance development adequately. As a recommendation for future studies, it could be beneficial to conduct more frequent and long-term monitoring of farms despite inherent challenges posed by costs, logistics, and other factors. Although complex, this approach could provide valuable and complementary information over time, allowing for a more comprehensive understanding of the dynamics of tick resistance development and the effectiveness of management practices.

All final models resulted in sensitivity and specificity greater than 0.5, suggesting moderate data classification and the ability to distinguish between positive and negative cases. Although no model is perfect due to the low number of observations, they are useful for identifying potential risk factors. However, caution should be exercised when extrapolating data to larger areas, and specific management circumstances should be considered, as seen in this study, where risk factors vary depending on the study location.

Using the larval package bioassay requires a considerable number of engorged adults to obtain a sufficient quantity of larvae (Cutullé et al., 2013). Adequate laboratory conditions, extensive field and lab work is needed, and a long time is necessary for the completion of the biological cycle. The LPT is thus resource-consuming but is method is widely used as it allows for diagnostic purposes by killing susceptible larvae (Dzemo et al., 2022; Miller et al., 2002). It may be interesting to investigate cost-effective methods, so that broader risk assessments of the situation can be carried out. Amitraz resistance, for instance, might be directly evaluated using molecular diagnostic.

While resistance development is influenced by farm management, environmental, and intrinsic factors of livestock, these results indicate that despite differences in management practices between locations, certain practices, regardless of the associated acaricide, have been consistently identified in this study.

Conclusions

The dispersion of acaricide resistance and multi-resistance in Ecuador underscores the urgent need for comprehensive surveillance and management strategies. We have identified key aspects of management that could potentially affect the development of resistance. Addressing this phenomenon requires collaborative efforts among researchers, policymakers, veterinaries, and farmers to safeguard agricultural productivity and public health. Implementing integrated control ticks management practices and promoting judicious acaricide use can mitigate the spread of resistance and preserve the perennial efficacy of these vital tools.

Funding

This research was funded by L’Académie de Recherche et d’Enseignement supérieur (ARES) code No.03E-2020. This study is part of the project "Socio-eco-epidemiology of ticks, tick-borne parasites, acaricide resistance and residual effects of acaricides in tropical ecuadorian livestock: environmental, animal and public health impacts".

Acknowledgments

Thank you to ARES for funding this research, and to the Instituto de Investigación en Zoonosis-CIZ where the laboratory work was conducted. We also extend our gratitude to the undergraduate students from the Veterinary Medicine School and Agronomy School who participated in the fieldwork and data collection. Additionally, we appreciate the cooperation of the farmers who allowed us to make frequent visits to their farms.

References

Abbas R.Z., Zaman M.A., Colwell D.D., Gilleard J. & Iqbal Z. 2014. Acaricide resistance in cattle ticks and approaches to its management: The state of play. Vet Parasitol, 203, 6–20.

Adehan S.B., Biguezoton A., Adakal H., Assogba M.N., Zoungrana S.S., Gbaguidi A.M., et al. 2016. Acaricide resistance of Rhipicephalus microplus ticks in Benin. African J Agric Res, 11, 1199–1208.

Andreotti R., Guerrero F.D., Soares M.A., Barros J.C., Miller R.J. & Léon A.P. De. 2011. Acaricide resistance of Rhipicephalus (Boophilus) microplus in State of Mato Grosso do Sul, Brazil. Rev Bras Parasitol Vet, 20, 127–33.

Bettin Santos T.R., Klafke G.M., Pappen F.G., Nizoli L.Q., Biegelmeyer P. & Farias N.A.R. 2013. Comparison of three larval bioassays to evaluate susceptibility of Rhipicephalus (Boophilus) microplus to amitraz. Rev Bras Parasitol Vet, 22, 495–501.

Bustillos R. & Rodríguez R. 2016. Ecologia parasitaria de Riphicephalus microplus en bovinos, 1st ed. Editorial académica española.

Castro-Janer E., Rifran L., González P., Niell C., Piaggio J., Gil A., et al. 2011. Determination of the susceptibility of Rhipicephalus (Boophilus) microplus (Acari: Ixodidae) to ivermectin and fipronil by Larval Immersion Test (LIT) in Uruguay. Vet Parasitol, 178, 148–155.

Chávez-Larrea M.A., Cholota-Iza C., Medina-Naranjo V., Yugcha-Díaz M., Ron-Román J., Martin-Solano S., et al. 2021. Detection of Babesia spp. In high altitude cattle in ecuador, possible evidence of the adaptation of vectors and diseases to new climatic conditions. Pathogens, 10.

Cutullé C., Lovis L., D’Agostino B.I., Balbiani G.G., Morici G., Citroni D., et al. 2013. In vitro diagnosis of the first case of amitraz resistance in Rhipicephalus microplus in Santo Tomé (Corrientes), Argentina. Vet Parasitol, 192, 296–300.

Da Silva J.B., Rangel C.P., De Azevedo Baêta B. & Da Fonseca A.H. 2013. Influence of the physiological state on infestation by Rhipicephalus microplus in dairy cows. Ticks Tick Borne Dis, 4, 52–56.

De Clercq E.M., Leta S., Estrada-Peña A., Madder M., Adehan S. & Vanwambeke S.O. 2015. Species distribution modelling for Rhipicephalus microplus (Acari: Ixodidae) in Benin, West Africa: Comparing datasets and modelling algorithms. Prev Vet Med, 118, 8–21.

Dzemo W.D., Thekisoe O. & Vudriko P. 2022. Development of acaricide resistance in tick populations of cattle: A systematic review and meta-analysis. Heliyon, 8, e08718.

Faza A.P., Pinto I.S.B., Fonseca I., Antunes G.R., Monteiro C.M. de O., Daemon E., et al. 2013. A new approach to characterization of the resistance of populations of Rhipicephalus microplus (Acari: Ixodidae) to organophosphate and pyrethroid in the state of Minas Gerais, Brazil. Exp Parasitol, 134, 519–523.

Fernández-Salas Agustín., Rodríguez-Vivas R.I. & Alonso-Díaz M.A. 2012. First report of a Rhipicephalus microplus tick population multi-resistant to acaricides and ivermectin in the Mexican tropics. Vet Parasitol, 183, 338–342.

Fernández-Salas Agustín, Rodríguez-Vivas R.I. & Alonso-Díaz M.Á. 2012. Resistance of Rhipicephalus microplus to Amitraz and Cypermethrin in Tropical Cattle Farms in Veracruz, Mexico. J Parasitol, 98, 1010–1014.

Fernández-Salas A, Rodríguez-Vivas R.I., Alonso-Díaz M.A. & Basurto-Camberos H. 2012. Ivermectin resistance status and factors associated in Rhipicephalus microplus (Acari: Ixodidae) populations from Veracruz, Mexico. Vet Parasitol, 190, 210–215.

Foil L.D., Coleman P., Eisler M., Fragoso-Sanchez H., Garcia-Vazquez Z., Guerrero F.D., et al. 2004. Factors that influence the prevalence of acaricide resistance and tick-borne diseases. Vet Parasitol, 125, 163–181.

Food and Agriculture Organization (FAO). 2004. Ticks: Acaricide resistance, diagnosis, management and prevention. In Guideline resistance management and integrated parasite control in ruminants. Agriculture Department. Roma, 1, 32.

Food and Agriculture Organization (FAO). 2022. Expert consultation on the sustainable management of parasites in livestock challenged by the global emergence of resistance. Part 1: Current status and management of acaricide resistance in livestock ticks Published. Roma.

GAD Quijos. 2015. Plan de desarrollo y ordenamiento territorial del cantón Quijos.

GAD San Miguel de los Bancos. 2015. Plan de Desarrollo y Ordenamiento Territorial Cantón San Miguel de Los Bancos Créditos Equipos Técnicos : Ciudadanía del Cantón San Miguel de los Bancos. Plan Ordenamiento Territ 2015-2025.

Insuaste Taipe E.P. 2021. Identificación molecular de Babesia bovis y B. bigemina en garrapatas Riphicephalus (Boophilus) microplus de la región norte amazonica del Ecuador. Universidad Internacional (SEK).

Iván Rodríguez-Vivas R., Hodgkinson J.E. & Trees A.J. 2012. Resistencia a los acaricidas en Rhipicephalus (Boophilus) microplus: situación actual y mecanismos de resistencia Acaricide resistance in Rhipicephalus (Boophilus) microplus: Current status and mechanisms of resistance. Rev Mex Cienc Pecu, 3, 9–24.

Jacho M.G. 2015. Dinámica poblacional de la garrapata Rhipicephalus (Boophilus) microplus en ganado bovino lechero en el Cantón San Miguel de los Bancos. Universidad Central del Ecuador, 15–20 pp.

Jonsson N.N., Mayer D.G. & Green P.E. 2000. Possible risk factors on Queensland dairy farms for acaricide resistance in cattle tick (Boophilus microplus). Vet Parasitol, 88, 79–92.

Klafke G., Webster A., Dall Agnol B., Pradel E., Silva J., de La Canal L.H., et al. 2017. Multiple resistance to acaricides in field populations of Rhipicephalus microplus from Rio Grande do Sul state, Southern Brazil. Ticks Tick Borne Dis, 8, 73–80.

Klafke G.M., Sabatini G.A., de Albuquerque T.A., Martins J.R., Kemp D.H., Miller R.J., et al. 2006. Larval immersion tests with ivermectin in populations of the cattle tick Rhipicephalus (Boophilus) microplus (Acari: Ixodidae) from State of Sao Paulo, Brazil. Vet Parasitol, 142, 386–390.

Kunz S.E. & Kemp D.H. 1994. Insecticides and acaricides: resistance and environmental impact. Rev Sci Tech, 13, 1249–1286.

Li A.Y., Davey R.B., Miller R.J. & George J.E. 2004. Detection and characterization of amitraz resistance in the Southern Cattle tick, Boophilus microplus (Acari: Ixodidae). J Med Entomol, 41, 193–200.

Lovis L., Reggi J., Berggoetz M., Betschart B. & Sager H. 2013. Determination of acaricide resistance in Rhipicephalus (Boophilus) microplus (Acari: Ixodidae) field populations of Argentina, South Africa, and Australia with the larval tarsal test. J Med Entomol, 50, 326–335.

Mendes M.C., Lima C.K.P., Nogueira A.H.C., Yoshihara E., Chiebao D.P., Gabriel F.H.L., et al. 2011. Resistance to cypermethrin, deltamethrin and chlorpyriphos in populations of Rhipicephalus (Boophilus) microplus (Acari: Ixodidae) from small farms of the State of São Paulo, Brazil. Vet Parasitol, 178, 383–388.

Mendes M.C., Pereira J.R. & Prado A.P. 2007. Sensitivity of Boophilus Microplus (Acari: Ixodidae) To Pyrethroids and Organophosphate in Farms in the Vale Do Paraíba Region, São Paulo, Brazil. Arq Inst Biol (Sao Paulo), 74, 81–85.

Miller R.J., Davey R.B. & George J.E. 2002. Modification of the Food and Agriculture Organization Larval Packet Test to measure amitraz-susceptibility against ixodidae. J Med Entomol, 39, 645–651.

Muñoz Guarnizo T.R., Obregón Alvarez D., Díaz-Sánchez A.A., Cabezas-Cruz A., Zamora Gutiérrez L., Martínez Marrero S., et al. 2020. Epidemiology and genetic diversity of Anaplasma marginale in Zamora-Chinchipe, Ecuador. Ticks Tick Borne Dis, 11, 101380.

Nogueira Domingues L., dos Santos Alves Figueiredo Brasil B., Passos de Paiva Bello A.C., Pinto da Cunha A., Thadeu Medeiros de Barros A., Cerqueira Leite R., et al. 2012. Survey of pyrethroid and organophosphate resistance in Brazilian field populations of Rhipicephalus (Boophilus) microplus: Detection of C190A mutation in domain II of the para-type sodium channel gene. Vet Parasitol, 189, 327–332.

Obaid M.K., Islam N., Alouffi A., Khan A.Z., da Silva Vaz I., Tanaka T., et al. 2022. Acaricides Resistance in Ticks: Selection, Diagnosis, Mechanisms, and Mitigation. Front Cell Infect Microbiol, 12, 1–20.

Orozco Álvarez G.E. 2018. Distribución espacial de garrapatas que afectan a las ganaderías ecuatorianas de las tres regiones, usando como referencia la línea equinoccial. Universidad Central del Ecuador, 38 pp.

Paucar-Quishpe V., Pérez-Otáñez X., Rodríguez-Hidalgo R., Cepeda-Bastidas D., Pérez-Escalante C., Grijalva-Olmedo J., et al. 2023. An economic evaluation of cattle tick acaricide-resistances and the financial losses in subtropical dairy farms of Ecuador: A farm system approach. PLoS One, 18, 1–31.

Paucar V., Pérez-Otáñez X., Rodríguez-Hidalgo R., Perez C., Cepeda-Bastidas D., Grijalva J., et al. 2022. The Associated Decision and Management Factors on Cattle Tick Level of Infestation in Two Tropical Areas of Ecuador. Pathogens, 11, 1–20.

Pérez-Otáñez X., Paucar-Quishpe V., Buitrón J., Grijalva J., Pérez-Escalante C., Cepeda-Bastidas D., et al. 2023. Grado de infestación de garrapatas asociado con factores individuales del ganado bovino en ganaderías subtropicales del Ecuador. 1–17.

Pérez-Otáñez X., Rodríguez-Hidalgo R., Enríquez S., Celi-Erazo M., Benítez W., Saegerman C., et al. 2024. High-resolution prediction models for Rhipicephalus microplus and Amblyomma cajennense s.l. ticks affecting cattle and their spatial distribution in continental Ecuador using bioclimatic factors. Exp Appl Acarol. , 23 February 2024. , 10.1007/s10493-023-00883-3.

Pérez-Otáñez X., Vanwambeke S.O., Orozco-Alvarez G., Arciniegas-Ortega S., Ron-Garrido L. & Rodríguez-Hidalgo R. 2023. Widespread acaricide resistance and multi-resistance in Rhipicephalus microplus in Ecuador and associated environmental and management risk factors. Ticks Tick Borne Dis, 15, 102274.

Puerta J.M., Chaparro J.J., Lopez-Arias A., Arroyave S.A. & Villar D. 2015. Loss of in vitro Efficacy of Topical Commercial Acaricides on Rhipicephalus microplus (Ixodida: Ixodidae) From Antioquian Farms, Colombia. J Med Entomol, 52, 1309–1314.

Ritz C., Baty F., Streibig J.C. & Gerhard D. 2015. Dose-Response Analysis Using R. PLoS One, 10, e0146021.

Ritz C. & Streibig J.C. 2005. Bioassay analysis using R. J Stat Softw, 12, 1–22.

Rodríguez-Hidalgo R., Pérez-Otáñez X., Garcés-Carrera S., Vanwambeke S.O., Madder M. & Benítez-Ortiz W. 2017. The current status of resistance to alpha-cypermethrin, ivermectin, and amitraz of the cattle tick (Rhipicephalus microplus ) in Ecuador. PLoS One, 12, 1–15.

Rodriguez-Vivas R.I., Alonso-Díaz M.A., Rodríguez-Arevalo F., Fragoso-Sanchez H., Santamaria V.M. & Rosario-Cruz R. 2006. Prevalence and potential risk factors for organophosphate and pyrethroid resistance in Boophilus microplus ticks on cattle ranches from the State of Yucatan, Mexico. Vet Parasitol, 136, 335–342.

Rodriguez-Vivas R.I., España E.R., Blanco I.L., Ojeda-Chi M.M., Trinidad-Martinez I., Islas J.A.T., et al. 2021. Monitoring the resistance of Rhipicephalus microplus to amitraz, flumethrin, coumaphos, and ivermectin on cattle farms in Mexico. Vet Parasitol Reg Stud Reports, 26.

Rodríguez-Vivas R.I., Rodríguez-Arevalo F., Alonso-Díaz M.A., Fragoso-Sanchez H., Santamaria V.M. & Rosario-Cruz R. 2006. Prevalence and potential risk factors for amitraz resistance in Boophilus microplus ticks in cattle farms in the State of Yucatan, Mexico. Prev Vet Med, 75, 280–286.

Santana B.B. de, Ramos R.A.N., Faustino M.A. da G., Alves L.C. & Carvalho G.A. de. 2016. Evaluation of the efficacy of cypermethrin and amitraz against Rhipicephalus (Boophilus) microplus, in the State of Pernambuco, Brazil. Arq Inst Biol (Sao Paulo), 82, 1–4.

Segura J.A., Saldarriaga L.J., Cerón J.M., Osorio L.R., Rueda Z. V. & Gutiérrez L.A. 2022. Hard tick species (Acari: Ixodidae) and infestation in two livestock agroecosystems from Antioquia, Colombia. Exp Appl Acarol, 86, 235–255.

Singh N.K., Nandi A., Jyoti & Rath S.S. 2014. Detection of amitraz resistance in Rhipicephalus (Boophilus) microplus from SBS Nagar, Punjab, India. Sci World J, 2014.

Soberanes N., Santamaría M. & Fragoso H. 2002. Primer caso de resistencia al amitraz en la garrapata del ganado Boophilus microplus en México. Técnica Pecu en México, 40, 81–92.

Vapnek J. & Chapman M. 2010. Legislative and regulatory options for animal welfare. FAO Legislative Study No104. 34.

Veiga L.P.H.N., Souza A.P. de, Bellato V., Sartor A.A., Nunes A.P. de O. & Cardoso H.M. 2012. Resistance to cypermethrin and amitraz in Rhipicephalus (Boophilus) microplus on the Santa Catarina Plateau, Brazil. Rev Bras Parasitol Veterinária, 21, 133–136.

Yessinou R.E., Akpo Y., Ossè R., Adoligbe C., Cassini R., Akogbeto M., et al. 2018. Molecular characterization of pyrethroids resistance mechanisms in field populations of Rhipicephalus microplus (Acari: Ixodidae) in district of Kpinnou and Opkara, Benin. Int J Acarol, 44, 198–203.

Downloads

Published

2024-07-24

How to Cite

Pérez-Otáñez, X., Paucar-Quishpe, V. ., Saegerman, C., Grijalva-Olmedo, J. ., Pérez-Escalante, C. ., Jácome, L., Rivera, C., Cepeda-Bastidas, D., Arciniegas-Ortega, S., Enríquez, S., Ron-Garrido, L., Rodríguez-Hidalgo, R. ., & Vanwambeke, S. O. . (2024). Drivers and evolution of acaricide resistance and multi-resistance in two Ecuador’s subtropical livestock farming areas. Veterinaria Italiana, 60(4). https://doi.org/10.12834/VetIt.3471.23969.2

Funding data